Skip to content

New Moncton Costco Opens In Three Weeks

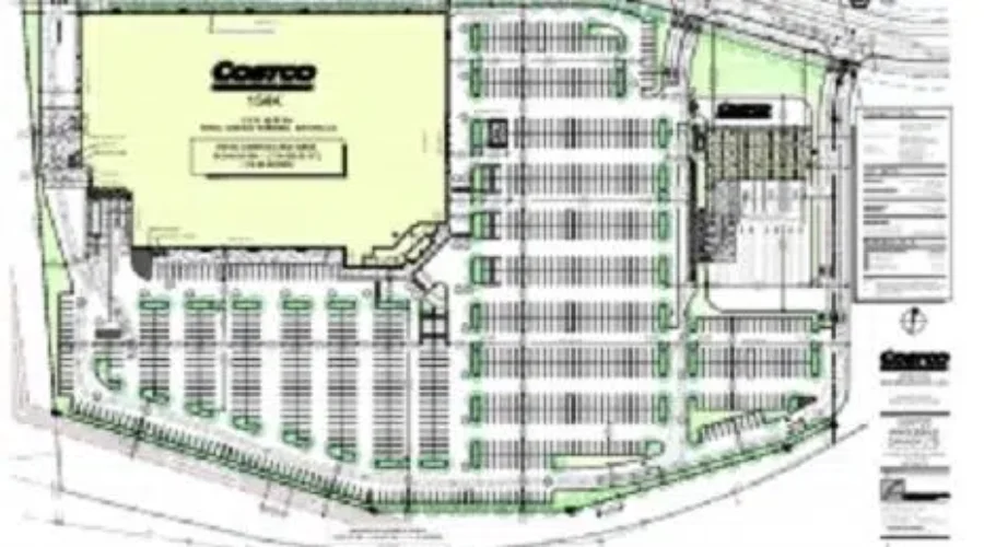
The new Moncton Costco store will open its doors in mid-November.

A company official confirmed the warehouse will open on November 16th at 8am and the gas bar may actually open a bit earlier that morning.

November 15th will be the last day of business for the Trinity Drive location.

The new 154,000 square foot store is part of a larger retail area which will eventually include a Home Hardware store.

Just north of the Trans Canada Highway, the Costco is on the new Granite Drive off Elmwood Drive.

Author

Do you have a news tip?

Submit to NBNews@radioabl.ca.

loader-image
Moncton, NB
3:17 pm, Apr 22, 2026
weather icon 8°C
L: 8° H: 8°
scattered clouds

What’s Trending